ORDINANCE NO.2000-180 AMENDING THE SOLEBURY TOWNSHIP ZONING ORDINANCE TO REZONE BUCKS COUNTY TAX MAP PARCEL NOS.41-4-7, 41-4-10, 41-4-11 AND 41-4-12 FROM RB-RESIDENTIAL/AGRICULTURAL DISTRICT TO VC-VILLAGE COMMERCIAL DISTRICT

AN ORDINANCE OF THE TOWNSHIP OF SOLEBURY, BUCKS COUNTY, PENNSYLVANIA, AMENDING THE SOLEBURY TOWNSHIP ZONING ORDINANCE TO REZONE BUCKS COUNTY TAX MAP PARCEL NOS. 41-4-7, 41-4-10, 41-4-11 AND 41-4-12 FROM RB - RESIDENTIAL/ AGRICULTURAL DISTRICT TO VC - VILLAGE COMMERCIAL DISTRICT

WHEREAS, the Board of Supervisors of Solebury Township, Bucks County, Pennsylvania, has enacted the Solebury Township Zoning Ordinance of 1988, as amended ("Zoning Ordinance"); and

WHEREAS, the Zoning Ordinance includes among its provisions a zoning map identifying the various locations of the various zoning districts within Solebury Township ("Zoning Map"); and

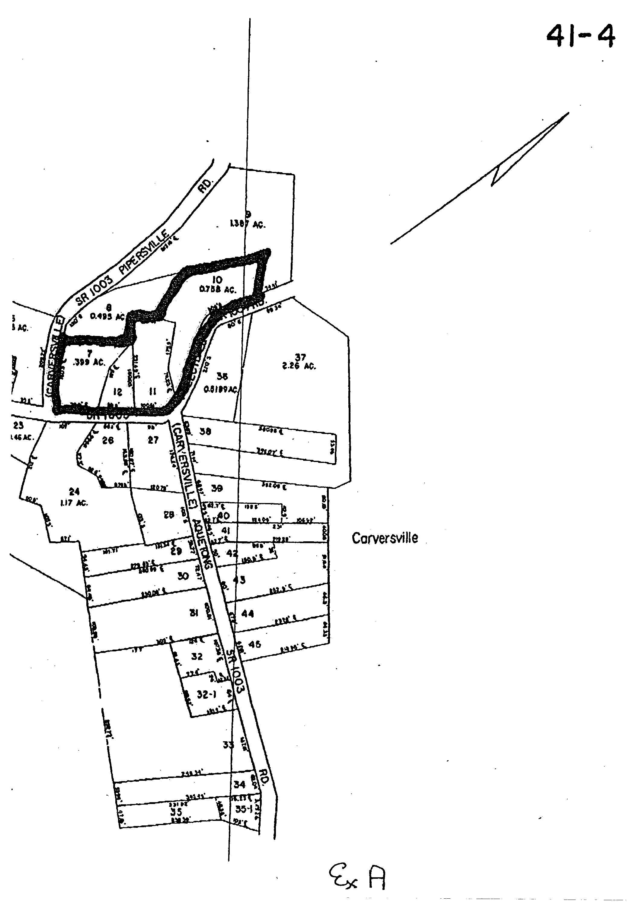
WHEREAS, by the Zoning Ordinance and Zoning Map certain parcels of land identified as Bucks County Tax Map Parcel Nos. 41-4-7, 41-4-10, 41-4-11 and 41-4-12 ("parcels") are currently zoned RB - Residential/Agricultural District; and

WHEREAS, such parcels of land border and adjoin the VC - Village Commercial District and were formerly zoned VC - Village Commercial; and

WHEREAS, such parcels of land, and the uses thereon, are of a type and substance consistent with those prescribed for the VC - Village Commercial District; and

WHEREAS, the Board of Supervisors of Solebury Township desires to rezone such parcels of land in order to provide for the orderly development of such parcels consistent with Township policy and the principles of sound land planning; and

WHEREAS, the Board of Supervisors of Solebury Township has determined that the above-stated amendments to the Zoning Ordinance are in the best interests of the health, safety and welfare of the residents of Solebury Township;

NOW THEREFORE, be it, and it is hereby ORDAINED by the Board of Supervisors of Solebury Township, Bucks County, Pennsylvania, and it is hereby ENACTED and ORDAINED by authority of same as follows:

1. The Solebury Township Zoning Map is hereby amended to rezone Bucks County Tax Map Parcel Nos. 41-4-7, 41-4-10, 41-4-11 and 4-4-12, as depicted in the Exhibit "A" attached hereto, from RB - Residential/Agricultural District to VC - Village Commercial District.

2. All provisions of the Zoning Ordinance and Zoning Map unaffected by this Ordinance are hereby declared to be in full force and effect. Any provision of the Zoning Ordinance or Zoning Map inconsistent with the provisions of this Ordinance are hereby declared to be repealed to the extent of the inconsistency.

3. The provisions of this Ordinance are declared to be severable. If any provision of this Ordinance is declared by a court of competent jurisdiction to be invalid or unconstitutional, such determination shall have no effect on the remaining provisions of this Ordinance or on the provisions of the Zoning Ordinance or Zoning Map.

**Webmasters Note: The previous Ordinance No. 2000-180 pertains to the zoning map which can be viewed on the town page under the Zoning and Other Maps link.